Oppeln Immobilienmakler Gewerbegrundstücke Polen
Immobilienmakler Brzeg Gewerbegrundstücke Industriegrundstücke Oppeln Polen
E-Mail Immobilienmakler Industriegrundstücke Skarbimierz Polen
Gewerbegrundstück
Skarbimierz Brzeg

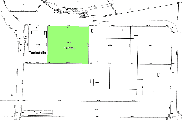
Industriegrundstück / Gewerbegrundstück in Skarbimierz bei Brzeg zwischen Breslau und Opole - Oppeln Polen zum Kaufen / Verkäufer

  • Lage: Gewerbegebiet Skarbimierz / Brzeg zwischen Wroclaw ( Breslau ) und Opole;
    Entfernungen: Breslau 36 km; Opole 40 km; Brzeg 2 km
  • Gewerbegrundstück / Industriegrundstück: 28.096 m²
  • Strom, Gas, Wasser- Abwasserleitung befinden sich in unmittelbarer Nähe
  • Nutzungsmöglichkeiten: Industrie / Produktion / Handel ...
  • Kaufpreis Gewerbegrundstück / Industriegrundstück: 295.000,- €

Skarbimierz Grundstücke für Gewerbe im Powiat Brzeski - Oppeln - Polen

Industriegrundstücke Brzeski Polen
Gewerbegrundstücke Brzeski Polen
Gewerbegrundstück in Skarbimierz Brzeg Oppeln Polen
Industriegrundstück in Polen
Gewerbegrundstück im Gewerbegebiet von Oppeln Polen

Gewerbegrundstück in Skarbimierz von Polen

Gewerbegrundstück in Polen
Industriegrundstücke Brzeski Polen
Grundstück zur gewerblichen Nutzung in Skarbimierz

Gewerbegrundstück

Die Tankstelle kann
ebenfalls erworben
werden !