


O-2446 /A-2807
Fotos
Grundstück
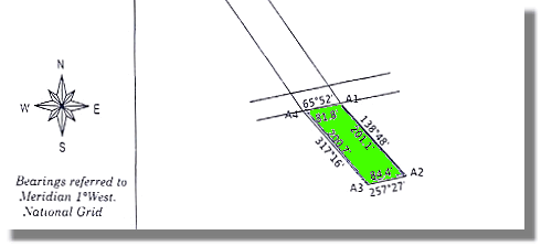
Lagekarte

Grundstück in der Locality Miotso bei Gbetsile, Afienya und Sebrepor im Ningo-Prampram District - Region Greater Accra - Ghana
O-2448 /A-2807
Fotos
Grundstück
Lagekarte
Beide Grundstücke ( 1.260 m² und 1.300 m² ) liegen direkt nebeneinander und können gemeinsam erworben werden !
